
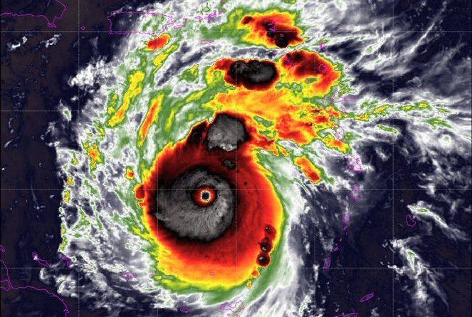
El huracán Beryl, el primero de la temporada atlántica de 2024, se ha intensificado a categoría cinco e impactará tierras mexicanas, según datos del Centro Nacional de Huracanes de Estados Unidos es considerado extremadamente peligroso.
De acuerdo con los pronósticos impactará la madrugada del martes en el estado mexicano de Quintana Roo, donde se encuentra Cancún y la Riviera Maya luego de pasar por las islas de Barlovento, archipiélago que incluye Martinica, Santa Lucía y Granada, entre otras.
Al anunciar la llegada de este fenómeno natural se advirtió sobre tormentas y vientos “potencialmente mortales”, con ráfagas de hasta 200 kilómetros por hora.

De acuerdo con la trayectoria prevista, luego de recorrer las islas del Caribe, la tormenta impactaría la madrugada del martes en el estado mexicano de Quintana Roo, donde se encuentran los balnearios de Cancún y la Riviera Maya.
La CONAGUA informó que “posteriormente se espera que se mueva hacia el golfo de México y que pudiera tener un impacto sobre lo que es el norte y sur de Tamaulipas”.